So, I got bored earlier and decided to compile a thread highlighting the many significant tornadoes in the Dodge City WFO's jurisdiction.
Besides NWS Norman, NWS Dodge City is probably the biggest tornado magnet on the Plains.
Here's DDC Tornado Madness, a thread:
Besides NWS Norman, NWS Dodge City is probably the biggest tornado magnet on the Plains.
Here's DDC Tornado Madness, a thread:
May 4, 2007:
• Greensburg (EF5)
• Trousdale (EF3; Possibly stronger due to radar presence)
• Macksville (EF3; Possibly stronger due to radar presence)
• Greensburg (EF5)
• Trousdale (EF3; Possibly stronger due to radar presence)
• Macksville (EF3; Possibly stronger due to radar presence)
May 23, 2008:
• Quinter (EF4)
• Mullinville (EF3; Possibly stronger due to radar presence)
• Trousdale (EF3)
• Riga (EF2; Possibly stronger due to radar presence)
• Quinter (EF4)
• Mullinville (EF3; Possibly stronger due to radar presence)
• Trousdale (EF3)
• Riga (EF2; Possibly stronger due to radar presence)
May 22-24, 2016:
• May 22:
- Friend (EF1; Likely Stronger due to video and radar presence)
• May 24:
- Dodge City #1 (EF3; Possibly stronger due to video evidence)
- Dodge City #2 (EF2)
- Dodge City #3 (EF2; Winds in the EF5 range were briefly recorded by a DOW)
• May 22:
- Friend (EF1; Likely Stronger due to video and radar presence)
• May 24:
- Dodge City #1 (EF3; Possibly stronger due to video evidence)
- Dodge City #2 (EF2)
- Dodge City #3 (EF2; Winds in the EF5 range were briefly recorded by a DOW)
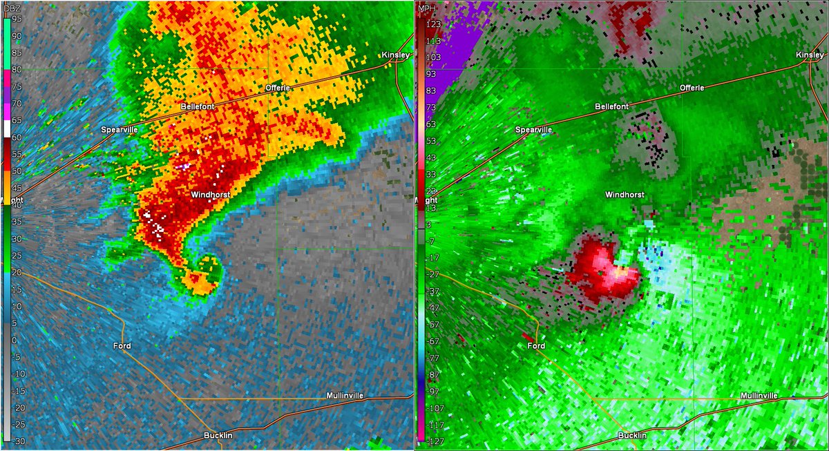
May 17, 2019:
• Near Minneola (EF3)
• Ford-Kinsley (EF2; SPC noted that this tornado was "strong to potentially violent" in an MCD)
• Near Minneola (EF3)
• Ford-Kinsley (EF2; SPC noted that this tornado was "strong to potentially violent" in an MCD)
Honorable mentions:
• May 7, 2002: Large F2 prompted a tornado emergency for Pratt
• November 15, 2015: Long-track EF3 near Kismet
• July 1, 2020: EF1 (Possibly stronger) near Kismet in an area with no severe storms forecasted
• May 7, 2002: Large F2 prompted a tornado emergency for Pratt
• November 15, 2015: Long-track EF3 near Kismet
• July 1, 2020: EF1 (Possibly stronger) near Kismet in an area with no severe storms forecasted
Read on Twitter